榆次:南六堡、西河堡这两个村,要开发了.....
扫描到手机,新闻随时看
扫一扫,用手机看文章
更加方便分享给朋友
建设单位:太焦城际铁路山西有限责任公司
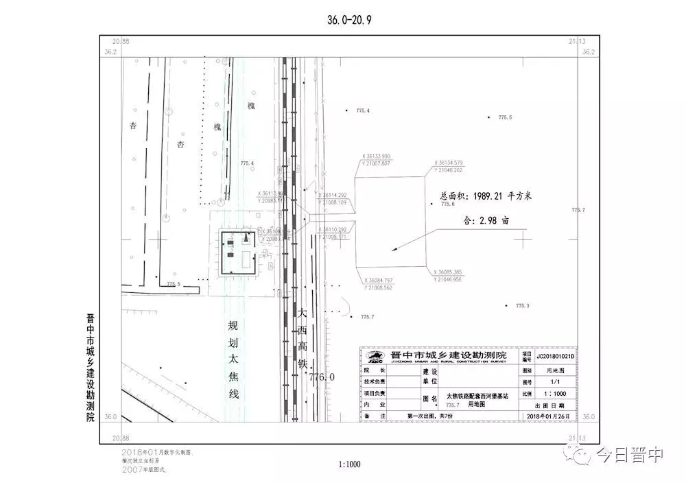
建设项目名称::太焦铁路(DK26+027.66~DK26+077.25段)、(DK13+047.78~DK13+070.20段)基站项目
项目所在县市:晋中市榆次区、经济开发区
项目拟选址位置:(DK26+027.66~DK26+077.25段)基站位于晋中市榆次区张庆乡西河堡村西南部700米处;(DK13+047.78~DK13+070.20段)基站位于晋中市经济开发区南六堡村东部约50米处
拟用地面积:(DK26+027.66~DK26+077.25段)基站占地面积1989.21平方米;((DK13+047.78~DK13+070.20段)基站占地面积1757.15平方米
拟建设规模:(DK26+027.66~DK26+077.25段)基站拟安装信号塔(铁塔)一座,配套管理用房一座,电力箱变一座;(DK13+047.78~DK13+070.20段)基站拟安装信号塔(铁塔)一座
依据《城乡规划法》、《行政许可法》等有关法律法规,特此公示,公示周期2018年5月17日——2018年5月30日(共10个工作日)。公示期内,如有意见和建议,请向我局反馈。
联系部门:晋中市规划和城市管理局行政审批科
联系电话:0354—3203171
附选址位置图:





来源:晋中市规划和城市管理局
声明:本文由入驻焦点开放平台的作者撰写,除焦点官方账号外,观点仅代表作者本人,不代表焦点立场。
